Denne side er bilag til teksten Den holmske metode og nøgle til alle ordskydigte i samlingen Gødel Kanal og til digtet Gødel Kanal kladeforsamling – Insekternes indtog.
Samtlige arter optaget i denne fortegnelse er fundet og indberettet af Thomas Holm til http://ww.naturbasen.dk specifikt for lokaliteten Gødel Kanal med skæringsdato den 20. oktober 2025. Siden indeholder lidt over 1.300 arter af insekter.
Fortegnelsen følger den taksonomiske standard, der anvendes på www.naturbasen.dk. Fortegnelsen er inddelt i ordner (overskrift i rødt) og i enkelte tilfælde i familer (overskrifter i gråt).
Alle ortografiske og taksonomiske fejl er mine alene.
Sidens indhold • Links til tilhørende ordskydigt
- Gødel Kanal kladeforsamling (natsommerfugle)
- Gødel Kanal kladeforsamling (ugler)
- Gødel Kanal kladeforsamling (tæger)
- Gødel Kanal kladeforsamling (cikader m.fl.)
- Gødel Kanal kladeforsamling (guldsmede)
- Gødel Kanal kladeforsamling (biller)
- Gødel Kanal kladeforsamling (løbebiller)
- Gødel Kanal kladeforsamling (to-vinger)
- Gødel Kanal kladeforsamling (edderkopper)
- Gødel Kanal kladeforsamling (bier, hvepse, m.fl.)
- Gødel Kanal kladeforsamling (dagsommerfugle)
- Gødel Kanal kladeforsamling (myrer, vårfluer, m.fl.)
Alle fotos kan ses i stort format ved klik
Bredrandet humlebisværmer
Foto: Jacob Gammelgaard
Birkeporceelænspinder
Foto: Thomas Holm
Dueurtsværmer
Foto: Thomas Holm
Blodplet
foto: Thomas Holm
Egelanghornsmøl
Foto: Jacob Gammelgaard
Grøn køllesværmer
Foto: Thomas Holm
Hægspindemøl
Foto: Thomas Holm
Kanelbjørn
Foto: Thomas Holm
Nåleskovsursommerfugl
Foto: Thomas Holm
Oxyptilus sp.
(Familien af fjermøl)
Foto: Thomas Holm
Pileurtstyltemøl
Foto: Thomas Holm
Purpurmåler
Foto: Thomas Holm
Ringspinder
Foto: Thomas Holm
Snehvid tigerspinder
Foto: Thomas Holm
Vinkelstreget løvmåler
Foto: Thomas Holm
Ørnebregnerodsæder
Foto: Thomas Holm
Natsommerfugle
Aethes smeathmanniana
Aftenpåfugleøje (Smerinthus ocellata)
Agonopterix yeatiana
Åkandehalvmøl (Elophila nymphaeata)
Almindelig barkmåler (Alcis repandata)
Almindelig bladmåler (Epirrhoe alternata)
Almindelig dværgmåler (Eupithecia vulgata)
Almindelig fladmøl (Agonopterix heracliana)
Alm. spidsvingemåler (Scotopteryx chenopodiata)
Almindelig tigerspinder (Spilosoma lubricipeda)
Amphisbatis incongruella
Aristotelia ericinella
Aroga velocella
Bactra lancealana
Birkeporcelænsspinder (Pheosia gnoma)
Blåbærløvmåler (Scopula floslactata)
Blodnakke (Atolmis rubricollis)
Blodplet (Tyria jacobaeae)
Bøgenonne (Calliteara pudibunda)
Bølget Måler (Hydria undulata)
Brandbægerfjermøl (Platyptilia isodactylus)
Bredrandet humlebisværmer (Hemaris fuciformis)
Bredvinget nældevikler (Anthophila fabriciana)
Broget vintermåler (Biston strataria)
Brombærspinder (Macrothylacia rubi)
Brun bjørnespinder (Arctia caja)
Brun dværgmåler (Eupithecia absinthiata)
Brun seglvinge (Drepana curvatula)
Brungul bladmåler (Earophila badiata)
Brunrød bladmåler (Xanthorhoe spadicearia)
Caloptilia stigmatella
Chokoladeplet (Clostera pigra)
Citrongul vikler (Thiodia citrana)
Citronmåler (Opisthograptis luteolata)
Clavigesta purdeyi (Clavigesta purdeyi)
Clostera sp.
Cnephasia sp.
Coleophora sp.
Crambus lathoniellus
Crambus pascuella
Dag-Lavspinder
Duehale (Macroglossum stellatarum)
Dueurt-bladmåler (Ecliptopera silaceata)
Dueurtsværmer (Deilephila elpenor)
Efterårsmåler sp. (Epirrita sp.)
Egelanghornsmøl (Adela reaumurella)
Egespinder (Lasiocampa quercus)
Egetandspinder (Peridea anceps)
Endotricha flammealis
Eng-løvmåler (Scopula immutata)
Engkøllesværmer (Zygaena trifolii)
Eudonia / Scoparia sp.
Eudonia mercurella
Eupithecia icterata
Fedtmøl (Aglossa pinguinalis)
Femplettet køllesværmer (Zygaena lonicerae)
Foranderlig bladmåler (Thera variata)
Foranderlig Vikler (Acleris hastiana)
Frømøl (Hofmannophila pseudospretella)
Fyrremåler (Bupalus piniaria)
Fyrrespinder (Dendrolimus pini)
Fyrresværmer (Sphinx pinastri)
Grå egemåler (Hypomecis punctinalis)
Grå fyrremåler (Thera obeliscata)
Grå Tigerspinder (Diaphora mendica)
Græsspinder (Euthrix potatoria)
Grågul frostmåler (Agriopis marginaria)
Gråplettet Løvmåler (Idaea seriata)
Grøn bladmåler (Colostygia pectinataria)
Grøn køllesværmer (Adscita statices)
Grøn lyngmåler (Chlorissa viridata)
Grøn vissemåler (Pseudoterpna pruinata)
GulsSyremåler (Timandra comae)
Gulhale (Euproctis similis)
Gulhvid stregmåler (Cabera exanthemata)
Gyvelmøl (Leucoptera spartifoliella)
Hægspindemøl (Yponomeuta evonymella)
Harlekin (Abraxas grossulariata)
Have-græsmøl (Chrysoteuchia culmella)
Hede-takspinder (Phyllodesma ilicifolia)
Hedenonne (Dicallomera fascelina)
Hermelinskåbe (Cerura vinula)
Hindevinge (Thumatha senex)
Humlevoksmøl (Aphomia sociella)
Hvid dværgmåler (Eupithecia centaureata)
Hvidplettet Dværgmåler (Eupithecia tripunctaria)
Hvidtjørnssolvikler (Pammene rhediella)
JordbærbBladmåler (Dysstroma truncata)
Kær-tidselvikler (Epiblema cirsiana)
Kærursommerfugl (Micropterix calthella)
Kålmøl (Plutella xylostella)
Kamelspinder (Ptilodon capucina)
Kanelbjørn (Phragmatobia fuliginosa)
Kaprifoliefjermøl (Alucita hexadactyla)
Klistermøl (Endrosis sarcitrella)
Kløvermåler (Chiasmia clathrata)
Kløverseglvikler (Ancylis badiana)
Kløverspinder (Lasiocampa trifolii)
Kløvervikler (Grapholita compositella)
Kolon-uglespinder (Ochropacha duplaris)
Kystdværgmåler (Eupithecia subumbrata)
Lædermåler (Rhodostrophia vibicaria)
Lille lavmåler (Cleorodes lichenaria)
Lille måneplet (Clostera curtula)
Lille natpåfugleøje (Saturnia pavonia)
Lille penselspinder (Orgyia antiqua)
Lille vinsværmer (Deilephila porcellus)
Litografilyngvikler (Phiaris schulziana)
Løvskovslanghornsmøl (Nemophora degeerella)
Lundmåler (Hemithea aestivaria)
Lyngmåler (Hypomecis atomaria)
Lyngpalpemøl (Neofaculta ericetella)
Lyngprydvinge (Pleurota bicostella)
Lyngvintervikler (Acleris hyemana)
Mælkeurthalvmøl (Pempelia palumbella)
Måneplet (Phalera bucephala)
Mompha epilobiella
Mompha raschkiella
Mompha sturnipennella
Mompha subbistrigella
Mørkegrå lavspinder (Eilema complana)
Mose-løvmåler (Idaea muricata)
Mosebøllevikler (Rhopobota myrtillana)
Nåleskovs-måler (Hylaea fasciaria)
Nåleskovslanghornsmøl (Nematopogon robertella)
Nåleskovsursommerfugl (Micropterix aureatella)
Nåletræsbarkmåler (Peribatodes secundaria)
Nettegnet sækbærer (Whittleia retiella)
Okkergul blåbærmåler (Macaria brunneata)
Okkergul bladmåler (Camptogramma bilineata)
Okkergul rovmåler (Crocallis elinguaria)
Okkergult græsmøl (Agriphila tristella)
Orthotaenia undulana
Oxyptilus sp.
Pammene populana
Paramesia gnomana
Phiaris palustrana
Pile-havemåler (Eulithis testata)
Pileborer (Cossus cossus)
Pilelanghornsmøl (Adela cuprella)
Pileurtstyltemøl (Calybites phasianipennella)
Plettet hedespinder (Coscinia cribraria)
Poppelbarkvikler (Gypsonoma aceriana)
Poppelporcelænsspinder (Pheosia tremula)
Poppelspinder (Poecilocampa populi)
Prochoreutis myllerana
Prolita sexpunctella
Purpurmåler (Lythria cruentaria)
Pyrausta despicata
Rejnfanfjermøl (Gillmeria ochrodactyla)
Rhyacionia logaea
Ringspinder (Malacosoma neustria)
Rød jordbærvikler (Celypha lacunana)
Rødbåndet dværgmåler (Gymnoscelis rufifasciata)
Rødfrynset bjørn (Diacrisia sannio)
Rødspidset glassværmer (Synanthedon formicaeformis)
Rødt ordensbånd (Catocala nupta)
Rosestængelvikler (Notocelia incarnatana)
Rustbladmåler (Xanthorhoe ferrugata)
Rustdværgmåler (Eupithecia icterata)
Scoparia sp.
Skråbåndet spidsmåler (Epione repandaria)
Skræpperodæder (Triodia sylvina)
Skyggeliniemåler (Costaconvexa polygrammata)
Smalvinget lyngdværgmåler (Eupithecia nanata)
Snehvid tigerspinder (Spilosoma urticae)
Snerlefjermøl (Emmelina monodactyla)
Snerre-bladmåler (Cosmorhoe ocellata)
Sørgesnerremåler (Epirrhoe tristata)
Sort måler (Odezia atrata)
Sortbæltet bladmåler (Xanthorhoe fluctuata)
Sortplettetl øvmåler (Idaea dimidiata)
Sortrandet måler (Lomaspilis marginata)
Spidsvingemåler (Scotopteryx luridata)
Stor frostmåler (Erannis defoliaria)
Stor gyvelmåler (Chesias legatella)
Stor rosenvikler (Notocelia cynosbatella)
Stort melmøl (Pyralis farinalis)
Stort sødgræshalvmøl (Schoenobius gigantella)
Stribet hedemåler (Perconia strigillaria)
Sump-bladmåler (Orthonama vittata)
Syncopacma sp.
Tagrørhalvmøl (Chilo phragmitella)
Tandet løvmåler (Idaea emarginata)
Tandet seglvinge (Falcaria lacertinaria)
Tidselgulvikler (Agapeta hamana)
Tidselrodvikler (Epiblema scutulana)
Tjørne-pukkelvinge (Nola cucullatella)
Toplettet seglvinge (Watsonalla binaria)
Torskemunddværgmåler (Eupithecia linariata)
Treliniet duskmåler (Scopula ternata)
Udea ferrugalis
Uldgumpmåler (Alsophila aescularia)
Vandpesthalvmøl (Parapoynx stratiotata)
Vandrehalvmøl (Nomophila noctuella)
Vatret bladmåler (Hydriomena furcata)
Vinkelstreget løvmåler (Idaea aversata)
Yponomeuta sp.
Zelotherses sp.
Zigzagspinder (Notodonta ziczac)
Æblevikler (Cydia pomonella)
Ørnebregnerodæder (Korscheltellus fusconebulosa)
Okkerrød aprilugle
Foto: Thomas Holm
Burreugle
Foto: Thomas Holm
Mosebunkeugle
Foto: Thomas Holm
Kurvblomst-ugle
Foto: Thomas Holm
Hvidplettet lyngugle
Foto: Thomas Holm
Flov Græsugle
Foto: Thom
Ugler
Ordenen natsommerfugle
Agatugle (Phlogophora meticulosa)
Agerugle (Agrotis segetum)
Aksugle (Apamea sordens)
Amphipoea sp. (Amphipoea sp.)
August-mosugle (Mniotype satura)
Bedeugle (Anarta trifolii)
Blåbærugle (Conistra vaccinii)
Blålig moseugle (Papestra biren)
Blyantsugle (Amphipyra tragopoginis)
Brachylomia viminalis (Brachylomia viminalis)
Brombær-guldugle (Cirrhia icteritia)
Brombærtiggerugle (Diarsia rubi)
Brun kløverugle (Euclidia glyphica)
Burreugle (Gortyna flavago)
Det korte W (Apamea remissa)
Det sorte C (Xestia c-nigrum)
Flov græsugle (Mythimna pudorina)
Frøgræsugle (Luperina testacea)
Frønnet landmand (Agrotis puta)
Fyrreugle (Panolis flammea)
Gammaugle (Autographa gamma)
Gedeblad-ugle (Xylocampa areola)
Gotisk forårsugle (Orthosia gothica)
Græs-snudeugle (Macrochilo cribrumalis)
Graphiphora augur (Graphiphora augur)
Gul båndugle (Noctua fimbriata)
Gulmærket glansugle (Xestia xanthographa)
Gulvinget ugle (Thalpophila matura)
Halmugle (Mythimna pallens)
Høgeurt-ugle (Hecatera bicolorata)
Husmoderugle (Scoliopteryx libatrix)
Hvedeugle (Euxoa tritici)
Hvid-punkt græsugle (Mythimna albipuncta)
Hvidhjørnet dagugle (Deltote pygarga)
Hvidplettet lyngugle (Anarta myrtilli)
Hvidrandet jordugle (Ochropleura plecta)
Hvidstrenget-pelsugle (Simyra albovenosa)
Jordugle (Apamea monoglypha)
Kastaniefarvet glansugle (Xestia baja)
Kurvblomst-ugle (Hada plebeja)
Ligeliniet forårsugle (Orthosia opima)
Lille perlemormetalugle (Plusia putnami)
Lille starugle (Denticucullus pygmina)
Lille tyv (Mesoligia furuncula)
Lyng-glansugle (Xestia castanea)
Marmoreret kløverugle (Euclidia mi)
Mesapamea sp. (Mesapamea sp.)
Mørk skræppeugle (Dypterygia scabriuscula)
Mørksømmet smutugle (Noctua interjecta)
Mosebunkeugle (Cerapteryx graminis)
Mythimna sp. (Mythimna sp.)
Noctua janthe/janthina (Noctua janthe/janthina)
Okkerrød aprilugle (Cerastis rubricosa)
Pile-jordfarveugle (Agrochola lota)
Psi-ugle (Acronicta psi)
Rød høstugle (Agrochola helvola)
Rødlig sivugle (Coenobia rufa)
Røgfarvet grønsagsugle (Lacanobia suasa)
rustugle (Rusina ferruginea)
Seksliniet glansugle (Xestia sexstrigata)
Sivstråugle (Celaena haworthii)
Skrive-stængelugle (Litoligia literosa)
Smykke-stængelugle (Crypsedra gemmea)
Sølle tyv (Oligia latruncula)
Sømprikket stængelborer (Globia sparganii)
Sortplettet skovugle (Xestia triangulum)
Sortstribe græsugle (Mythimna impura)
Spættet lyngugle (Lycophotia porphyrea)
Spidsvinget græsugle (Mythimna straminea)
Star-dagugle (Deltote uncula)
Stor sivugle (Rhizedra lutosa)
Stor smutugle (Noctua pronuba)
Strand-gråugle (Eugnorisma glareosa)
Strand-landmand (Agrotis vestigialis)
Svagtskygget smutugle (Noctua comes)
Svingelugle (Plusia festucae)
Tagrørugle (Arenostola phragmitidis)
Teglrød stængelugle (Apamea lateritia)
Toga-septemberugle (Xanthia togata)
Tvebånd-dagugle (Deltote bankiana)
Vikkeugle (Lygephila pastinum)
Vinrød grønsagsugle (Lacanobia thalassina)
Ypsilonugle (Agrotis ipsilon)
Ærteugle (Ceramica pisi)
Baldrianfrøtæge
Foto: Thomas Holm
Lucernetæge
Foto: Thomas Holm
Nabis brevis (nymfetæger)
Foto: Thomas Holm
Rød kanttæge
Foto: Thomas Holm
Skræppetæge
Foto: Jacob Gammelgaard
Rejnfantæge
Foto: Thomas Holm
Toplettet bederoetæge
Foto: Thomas Holm
Tykhornet frøtæge
Tæger
Orden næbmunde
Acalypta parvula
Agramma laetum
Almindelig bærtæge (Dolycoris baccarum)
Almindelig bispetæge (Aelia acuminata)
Almindelig græstæge (Leptopterna dolabrata)
Almindelig kåltæge (Eurydema oleracea)
Almindelig kanttæge (Rhopalus parumpunctatus)
Almindelig løvtæge (Elasmostethus interstinctus)
Anthocoris sarothamni
Baldrianfrøtæge (Acompus rufipes)
Berytinus minor
Birkefrøtæge (Kleidocerys resedae)
Blåmunketæge (Strongylocoris luridus)
Bred nymfetæge (Nabis limbatus)
Brun frøtæge (Stygnocoris sabulosus)
Coranus sp.
Dictyonota fuliginosa
Enebærbredtæge (Chlorochroa juniperina)
Fyrre-kridtstregtæge (Pilophorus cinnamopterus)
Fyrreblomstertæge (Camptozygum aequale)
Fyrrebredtæge (Chlorochroa pinicola)
Fyrrekogletæge (Gastrodes grossipes)
Gråbrun blomstertæge (Lopus decolor)
Græsblomstertæge (Amblytylus nasutus)
Grankogletæge (Gastrodes abietum)
Grøn bredtæge (Palomena prasina)
Gyvelblomstertæge (Orthotylus virescens)
Gyvelbredtæge (Piezodorus lituratus)
Håret engtæge (Lygus rugulipennis)
Håret klitfrøtæge (Megalonotus chiragra)
Håret løvtrætæge (Psallus haematodes)
Havetæge (Lygocoris pabulinus)
Hede-sumpfrøtæge (Scolopostethus decoratus)
Høgeurttæge (Orthocephalus saltator)
Klokkeblomsttæge (Strongylocoris steganoides)
Kompakt blomstertæge (Charagochilus gyllenhalii)
Kompost-sumpfrøtæge (Scolopostethus affinis)
Korthåret frøtæge (Stygnocoris fuligineus)
Korthåret mosefrøtæge (Pachybrachius fracticollis)
Korthornet blomstertæge (Agnocoris rubicundus)
Kortvinget frøtæge (Ischnocoris angustulus)
Kortvinget nymfetæge (Nabis flavomarginatus)
Lang stråtæge (Chorosoma schillingii)
Lille bærtæge (Peribalus strictus)
Lille bispetæge (Aelia klugii)
Lille stråtæge (Myrmus miriformis)
Lucernetæge (Adelphocoris lineolatus)
Lyngblomstertæge (Orthotylus ericetorum)
Lyngnymfetæge (Nabis ericetorum)
Lys blomstertæge (Asciodema obsoleta)
Lys Skovfrøtæge (Drymus sylvaticus)
Lysegrøn blomstertæge (Orthotylus adenocarpi)
Lysrandet rovfrøtæge (Geocoris grylloides)
Mørk Bregnetæge (Monalocoris filicis)
Mørk frøtæge (Stygnocoris rusticus)
Mosebredtæge (Rhacognathus punctatus)
Myrenymfetæge (Himacerus mirmicoides)
Nabis brevis
Nabis ferus
Nabis sp.
Øjenplet blomstertæge (Closterotomus fulvomaculatus)
Ovalfrøtæge sp. (Trapezonotus sp.)
Overdrevblomstertæge (Hallodapus rufescens)
Pile-kridtstregtæge (Pilophorus clavatus)
Pileblomstertæge (Monosynamma bohemanni)
Præstetæge (Neottiglossa pusilla)
Rækkeplettet blomstertæge (Plagiognathus chrysanthemi)
Rejnfantæge (Megalocoleus tanaceti)
Rød kåltæge (Eurydema ornata)
Rødbenet bredtæge (Pentatoma rufipes)
Rødbrun blomstertæge (Pinalitus rubricatus)
Rødbrun græstæge (Leptopterna ferrugata)
Rynket randtæge (Arenocoris fallenii)
Sivfrøtæge (Cymus claviculus)
Skærmplantetæge (Orthops campestris)
Skinnende bladlustæge (Anthocoris nemorum)
Skorpiontæge (Nepa cinerea)
Skræppetæge (Coreus marginatus)
Slåenrandtæge (Gonocerus acuteangulatus)
Slank frøtæge (Pterotmetus staphyliniformis)
Slank græstæge (Stenodema laevigata)
Smaltæge (Ischnodemus sabuleti)
Smuk nåletræstæge (Eremocoris abietis)
Sort blomstertæge (Capsus ater)
Sort græstæge (Pithanus maerkelii)
Sortbenet frøtæge (Macrodema microptera)
Sortbuget rovtæge (Coranus aethiops)
Sortrandet frøtæge (Peritrechus geniculatus)
Starfrøtæge (Cymus glandicolor)
Starskjoldtæge (Eurygaster testudinaria)
Stavtæge (Ranatra linearis)
Stor frøtæge (Rhyparochromus pini)
Stor løvtæge (Acanthosoma haemorrhoidale)
Storøjet nymfetæge (Himacerus boops)
Stribehornet græstæge (Trigonotylus caelestialium)
Tidlig gyveltæge (Heterocordylus tibialis)
Tofaset græstæge (Notostira elongata)
Toplettet bederoetæge (Closterotomus norwegicus)
Tornet græstæge (Stenodema calcarata)
Torntæge (Picromerus bidens)
Treplettet nældetæge (Liocoris tripustulatus)
Trestribet tæge (Phytocoris varipes)
Tretornet græstæge (Stenodema trispinosa)
Tykhornet frøtæge (Peritrechus angusticollis)
Æbletæge (Lygocoris rugicollis)
Guldsmede
Almindelig hedelibel (Sympetrum vulgatum)
Blodrød hedelibel (Sympetrum sanguineum)
Blå libel (Libellula depressa)
Fireplettet libel (Libellula quadrimaculata)
Hedelibel sp. (Sympetrum sp.)
Sort hedelibel (Sympetrum danae)
Stor blåpil (Orthetrum cancellatum)
Stor hedelibel (Sympetrum striolatum)
Blå mosaikguldsmed (Aeshna cyanea)
Brun mosaikguldsmed (Aeshna grandis)
Efterårs-mosaikguldsmed (Aeshna mixta)
Håret mosaikguldsmed (Brachytron pratense)
Stor kejserguldsmed (Anax imperator)
Almindelig kobbervandnymfe (Lestes sponsa)
Almindelig vandnymfe (Enallagma cyathigerum
Blåbåndet pragtvandnymfe (Calopteryx splendens)
Blåvinget pragtvandnymfe (Calopteryx virgo)
Flagermus-vandnymfe (Coenagrion pulchellum)
Hestesko-vandnymfe (Coenagrion puella)
Lille farvevandnymfe (Ischnura pumilio)
Rød vandnymfe (Pyrrhosoma nymphula)
Sortmærket kobbervandnymfe (Lestes dryas)
Stor farvevandnymfe (Ischnura elegans)
Alm. guldpletrovbille
Foto: Thomas Holm
Apion rubens
(Spidsmussnudebiller)
Foto: Thomas Holm
Glinsende rådstumpbille
Foto: Thomas Holm
Rød blomsterbuk
Foto: Jacob Gammelgaard
Gulrandet vandkalv
Foto: Thomas Holm
Jysk løber
Foto: Thomas Holm
Krumbenet ådselgraver
Foto: Thomas Holm
Glat skarnbasse
Foto: Thomas Holm
Matgrøn solbille
Foto: Thomas Holm
Tiplettet mariehøne
Foto: Thomas Holm
Hvidkløver snudebille
Foto: Thomas Holm
Snegleådselbille
Foto: Thomas Holm
Quedius picipes
Foto: Thomas Holm
Rødbenet jordløber
Foto: Thomas Holm
Sortsømmet blomsterbuk
Foto: Thomas Holm
Åkandebille
Foto: Thomas Holm
Cantharis nigricans
Foto: Thomas Holm
Grøn sandspringer
Foto: Thomas Holm
Cigarruller
Foto: Thomas Holm
Myrebille
Foto: Thomas Holm
Præstebille
Foto: Jacob Gammelgaard
Håret skyggebille
Foto: Thomas Holm
Stor nåletræsnudebille
Foto: Thomas Holm
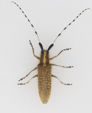
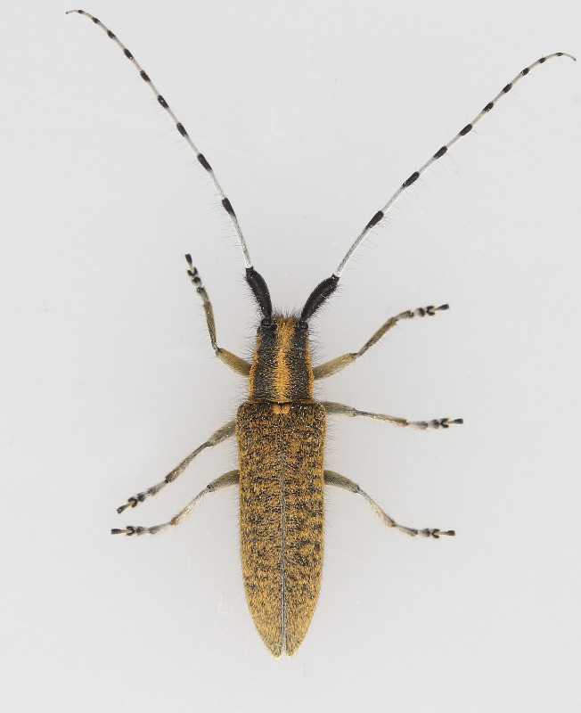
Tidselbuk
Foto: Thomas Holm
Væver
Foto: Thomas Holm
Liden jordløber
Foto: Thomas Holm
Smal sivløber
Foto: Thomas Holm
Rødbenet jordløber
Foto: Thomas Holm
Stor torpedoløber
Foto: Thomas Holm
Biller
Acilius canaliculatus
Agabus bipustulatus
Åkandebille (Galerucella nymphaeae)
Almindelig bredløber (Anisodactylus binotatus)
Almindelig brunløber (Bradycellus harpalinus)
Almindelig guldpletrovbille (Platydracus stercorarius)
Almindelig kalkløber (Ophonus rufibarbis)
Almindelig markløber (Harpalus latus)
Almindelig møgbille (Aphodius prodromus)
Almindelig ødebille (Byrrhus pilula)
Almindelig tyv (Ptinus fur)
Almindelig vandkær (Hydrobius sp.)
Anacaena globulus
Anacaena lutescens
Anaspis thoracica
Andrion regensteinense
Aphodius sphacelatus)
Apion aethiops
Apion apricans
Apion atratulum
Apion cerdo
Apion cruentatum
Apion curtirostre
Apion fuscirostre
Apion immune
Apion marchicum
Apion minimum
Apion modestum
Apion pomonae
Apion rubens
Apion spencii
Apion viciae
Apion violaceum
Archarius salicivorus
Asiorestia transversa
Bagous limosus
Båndet tandbuk (Rhagium bifasciatum)
Båndtegnet sivløber (Philorhizus sigma)
Bedejordloppe (Chaetocnema concinna)
Bidessus unistriatus
Bladrandbille sp. (Sitona sp.)
Blågrøn ellebladbille (Plagiosterna aenea)
Blågrøn pilebladbille (Phratora vulgatissima)
Bleggul sivløber (Dromius melanocephalus)
Blød borebille (Ernobius mollis)
Blygrå rapssnudebille (Ceutorhynchus obstrictus)
Børsteløber (Loricera pilicornis)
Bredrygget moseløber (Acupalpus parvulus)
Broget sandpiler (Anthicus antherinus)
Bronzestumpløber (Syntomus foveatus)
Brun barkløber (Dromius agilis)
Brun græsjordloppe (Neocrepidodera ferruginea)
Brunbenet jordløber (Pterostichus diligens)
Brungul kvikløber (Agonum piceum)
Cantharis cryptica
Cantharis figurata
Cantharis nigricans
Cantharis pallida
Cassida denticollis
Cassida vittata
Ceutorhynchus typhae
Cigarruller (Byctiscus betulae)
Cleopomiarus graminis
Coccidula scutellata
Corticaria impressa
Cymbiodyta marginella
Cypha longicornis
Dansk ovalløber (Amara lunicollis)
Dolichosoma lineare
Donacia clavipes
Donacia marginata
Donacia semicuprea
Donacia versicolorea
Dorytomus majalis
Dorytomus rufatus
Dyndløber (Carabus clathratus)
Dytiscus sp. (Dytiscus sp.)
Ellebladbille (Agelastica alni)
Ellesnudebille (Cryptorhynchus lapathi)
Elleveplettet mariehøne (Coccinella undecimpunctata)
Enochrus affinis
Enochrus testaceus
Epuraea unicolor
Fintstribet kvikløber (Agonum muelleri)
Fireplettet barkløber (Dromius quadrimaculatus)
Fladtrykt vandkalv (Hydroporus planus)
Flæskeklanner (Dermestes lardarius)
Galerucella aquatica
Gåsebille (Phyllopertha horticola)
Giftig rovbille (Paederus riparius)
Glat skarnbasse (Trypocopris vernalis)
Glimmerbøsse (Meligethes aeneus)
Glinsende rådstumpbille (Saprinus semistriatus)
Glischrochilus quadripunctatus
Gonioctena olivacea
Graphoderus cinereus
Grøn øjenløber (Elaphrus riparius)
Grøn sandspringer (Cicindela campestris)
Grøn solbille (Chrysanthia nigricornis)
Gul blødvinge (Cantharis livida)
Gulgrøn pilebladbille (Phratora vitellinae)
Gulrandet damvandkalv (Ilybius fuliginosus)
Gyrinus aeratus
Gyrinus marinus
Gyrinus minutus
Gyrinus substriatus
Habrocerus capillaricornis
Haliplus apicalis
Haliplus ruficollis
Håret markløber (Harpalus rufipes)
Håret pilebladbille (Galerucella lineola)
Håret skyggebille (Lagria hirta)
Harlekinmariehøne (Harmonia axyridis)
Helochares obscurus
Helophorus aequalis
Helophorus minutus
Helophorus sp.
Hvidkløversnudebille (Apion fulvipes)
Hydaticus seminiger
Hydrobius fuscipes
Hydroporus erythrocephalus
Hydroporus gyllenhalii
Hydroporus palustris
Hydroporus pubescens
Hydroporus tristis
Hydroporus umbrosus
Hygrotus impressopunctatus
Hygrotus inaequalis
Hygrotus parallellogrammus
Hylastes opacus
Hypera miles
Hypera plantaginis
Ilybius ater
Jordbærøresnudebille (Otiorhynchus ovatus)
Juvelsivbuk (Plateumaris discolor)
Jysk løber (Carabus problematicus)
Kateretes pedicularius
Klitbladbille (Chrysomela collaris)
Klitsmalløber (Demetrias monostigma)
Kløvergnaver (Hypera nigrirostris)
Kobberguldbasse (Protaetia cuprea)
Kobbersmælder (Selatosomus aeneus)
Kornbladbille sp. (Oulema sp.)
Kornet ådselbille (Silpha tristis)
Kornet løber (Carabus granulatus)
Kort kvikløber (Agonum fuliginosum)
Kratløber (Carabus nemoralis)
Krumbenet ådselgraver (Nicrophorus vespillo)
Laccophilus minutus
Lakrød møgbille sp. (Aphodius fimetarius/pedellus)
Lamprinodes saginatus
Larinus carlinae
Lathrobium brunnipes
Leistus fulvibarbis
Liden jordløber (Pterostichus minor)
Lille firplettet glansløber (Bembidion quadrimaculatum)
Lille humlebille (Trichius rosaceus)
Lille hvepsebuk (Clytus arietis)
Lille kejserrovbille (Staphylinus erythropterus)
Lille metaljordløber (Poecilus versicolor)
Lille møggraver (Onthophagus similis)
Lille pilejordloppe (Crepidodera fulvicornis)
Lille tunnelløber (Dyschirius globosus)
Lyngbladbille (Lochmaea suturalis)
Lyngbrunløber (Bradycellus ruficollis)
Lyngmariehøne (Chilocorus bipustulatus)
Malthinus flaveolus (Malthinus flaveolus)
Malthodes sp.
Mantura chrysanthemi (Mantura chrysanthemi)
Marmorvandkalv (Rhantus suturalis)
Matgrøn solbille (Oedemera virescens)
Matsort møgbille Aphodius ater)
Mecinus pascuorum
Meligethes flavimanus
Micrelus ericae
Mordellistenula perrisi
Mørk kornsmælder (Agriotes obscurus)
Mørkebrun ovalløber (Amara apricaria)
Musegrå smælder (Agrypnus murinus)
Museumsklanner (Anthrenus museorum)
Myrebille (Thanasimus formicarius)
Myrerøver (Drusilla canaliculata)
Natoldenborre (Serica brunnea)
Nebria sp.
Nellikegnaver (Hypera arator)
Nittenplettet mariehøne (Anisosticta novemdecimpunctata)
Notaris acridulus
Noterus clavicornis
Notiophilus germinyi
Ochthephilum fracticorne/collare
Ocypus aeneocephalus
Ocypus brunnipes
Olibrus affinis
Olibrus millefolii
Olophrum piceum
Othius angustus
Oval stumpbille (Margarinotus neglectus)
Padderokkesnudebille (Grypus equiseti)
Pediacus depressus
Pella limbata
Philonthus cognatus
Philonthus sp.
Platydracus latebricola
Poppelbladbille (Chrysomela populi)
Porhydrus lineatus
Præstebille (Rhagonycha fulva)
Pterostichus sp.
Quedius fuliginosus / curtipennis
Quedius molochinus
Quedius nigriceps
Quedius picipes
Quedius sp.
Rhagonycha limbata
Rhagonycha testacea
Rhantus exsoletus
Rhantus frontalis
Rhantus suturellus
Rhinoncus pericarpius
Rhyzobius chrysomeloides
Rhyzobius litura
Rød blomsterbuk (Stictoleptura rubra)
Rød kuglevandkalv (Hyphydrus ovatus)
Rød malakitbille (Anthocomus rufus)
Rødbenet møgbille (Aphodius rufipes)
Rødbenet ovalløber (Amara familiaris)
Rødbrun birkebladbille (Lochmaea caprea)
Rødbrun kvikløber (Oxypselaphus obscurus)
Rødbrystet hjertesmælder (Cardiophorus ruficollis)
Rødbrystet torpedoløber (Calathus melanocephalus)
Rødfodet markløber (Harpalus tardus)
Rødhalet busksmælder (Athous haemorrhoidalis)
Rugilus rufipes
Sandgråsnude
Sandskyggebille (Crypticus quisquilius)
Scymnus sp.
Scymnus suturalis
Sekspunktet kvikløber Agonum sexpunctatum)
Sekstenprikket mariehøne (Tytthaspis sedecimpunctata)
Sen landkær (Cercyon lateralis)
Sepedophilus marshami
Sericus brunneus
Silkeglinsende jordsmælder (Prosternon tessellatum)
Sitona humeralis
Sitona suturalis
Sjællandsk smælder (Actenicerus sjaelandicus)
Skakbræt (Propylea quatuordecimpunctata)
Skovfladløber (Nebria brevicollis)
Skovjordløber (Pterostichus niger)
Smælder ubest. (Elateridae indet.)
Smal kornsmælder (Dalopius marginatus)
Smal sivløber (Paradromius linearis)
Snegleådselbille (Phosphuga atrata)
Sort stumpløber (Syntomus truncatellus)
Sortbenet spejlløber (Notiophilus aquaticus)
Sortblå kornbladbille (Oulema gallaeciana)
Sortbuget vandkalv (Dytiscus semisulcatus)
Sortkøllet ådselgraver (Nicrophorus vespilloides)
Sortpandet skægløber (Leistus terminatus)
Sortplettet agerrovbille (Tachyporus hypnorum)
Sortsømmet blomsterbuk (Stenurella melanura)
Stenichnus sp.
Stenus binotatus
Stenus brevipennis
Stenus clavicornis
Stenus excubitor
Stenus fulvicornis
Stenus geniculatus
Stenus impressus
Stenus juno
Stenus lustrator
Stenus similis
Stor blødvinge (Cantharis fusca)
Stor fyrresnudebille (Pissodes pini)
Stor kæmperovbille (Ocypus olens)
Stor nåletræsnudebille (Hylobius abietis)
Stor skægløber (Leistus rufomarginatus)
Stor sortsmælder (Melanotus castanipes)
Stor torpedoløber (Calathus fuscipes)
Stor vandkalv (Dytiscus marginalis)
Stribet bladrandbille (Sitona lineatus)
Stribet gråsnude (Strophosoma melanogrammum)
Stribet skivevandkalv (Acilius sulcatus)
Strophosoma sus
Sumpbille sp.
Syvplettet mariehøne (Coccinella septempunctata)
Tachinus corticinus
Tachyerges salicis
Tachyporus atriceps
Tachyporus chrysomelinus
Tachyporus chrysomelinus
Temnocerus coeruleus
Tidlig Møgbille
Tidselbuk (Agapanthia villosoviridescens)
Tiplettet mariehøne (Adalia decempunctata)
Toogtyveplettet mariehøne (Psyllobora vigintiduopunctata)
Toplettetspejlløber (Notiophilus biguttatus)
Torskemundbladbille (Chrysolina sanguinolenta)
Trechus sp.
Trehornet skarnbasse (Typhaeus typhoeus)
Trettenplettet mariehøne (Hippodamia tredecimpunctata)
Tværridset vandkalv (Colymbetes fuscus)
Tvefarvet skovsmælder (Ampedus balteatus)
Tychius parallelus
Uplettet mariehøne (Aphidecta obliterata)
Væver (Lamia textor)
Hvoraf løbebiller:
Almindelig bredløber (Anisodactylus binotatus)
Almindelig brunløber (Bradycellus harpalinus)
Almindelig kalkløber (Ophonus rufibarbis)
Almindelig markløber (Harpalus latus)
Båndtegnet sivløber (Philorhizus sigma)
Bleggul sivløber (Dromius melanocephalus)
Børsteløber (Loricera pilicornis)
Bredrygget moseløber (Acupalpus parvulus)
Bronzestumpløber (Syntomus foveatus)
Brun barkløber (Dromius agilis)
Brunbenet jordløber (Pterostichus diligens)
Brungul kvikløber (Agonum piceum)
Dansk ovalløber (Amara lunicollis)
Dyndløber (Carabus clathratus)
Fintstribet kvikløber (Agonum muelleri)
Fireplettet barkløber (Dromius quadrimaculatus)
Grøn øjenløber (Elaphrus riparius)
Grøn sandspringer (Cicindela campestris)
Håret markløber (Harpalus rufipes)
Jysk løber (Carabus problematicus)
Klitsmalløber (Demetrias monostigma)
Kornet løber( Carabus granulatus)
Kort kvikløber (Agonum fuliginosum)
Kratløber (Carabus nemoralis)
Leistus fulvibarbis
Liden jordløber (Pterostichus minor)
Lille firplettet glansløber (Bembidion quadrimaculatum)
Lille metaljordløber (Poecilus versicolor)
Lille tunnelløber (Dyschirius globosus)
Lyngbrunløber (Bradycellus ruficollis)
Mørkebrun ovalløber (Amara apricaria)
Nebria sp.
Notiophilus germinyi
Pterostichus sp.
Rødbenet ovalløber (Amara familiaris)
Rødbrun kvikløber (Oxypselaphus obscurus)
Rødbrystet torpedoløber (Calathus melanocephalus)
Rødfodet markløber (Harpalus tardus)
Sekspunktet kvikløber (Agonum sexpunctatum)
Skovfladløber (Nebria brevicollis)
Skovjordløber (Pterostichus niger)
Smal sivløber (Paradromius linearis)
Sort stumpløber (Syntomus truncatellus)
Sortbenet spejlløber (Notiophilus aquaticus)
Sortpandet skægløber (Leistus terminatus)
Sortplettet agerrovbille (Tachyporus hypnorum)
Stor skægløber (Leistus rufomarginatus)
Stor torpedoløber (Calathus fuscipes)
Toplettet spejlløber (Notiophilus biguttatus)
Trechus sp.
Sortfodet skovrovflue
Foto: Jacob Gammelgaard
Alm. gødningeflue
Foto: Thomas Holm
Berberisflue
Foto: Thomas Holm
Droneflue
Foto: Thomas Holm
Gulvinget flue
Foto: Thomas Holm
Hvid skægrovflue
Foto: Thomas Holm
Kålstankelben
Foto: Thomas Holm
Grøn våbenflue
Foto: Thomas Holm
Mosestankelben
Foto: Thomas Holm
Skovhårmyg
Foto: Thomas Holm
Trebåndet sumpsvirreflue
Foto: Thomas Holm
Hjortelus
Foto: Thomas Holm
Dødningehovedsvirreflue
Foto: Thomas Holm
Lille dyndflue
Fot: Thomas Holm
Vandklæg
Foto: Thom
To-vinger
Fluer, stankelben, myg, m.fl
Acrocera orbiculus
Almindelig båndrovflue (Lasiopogon cinctus)
Almindelig dyndflue (Eristalis arbustorum)
Almindelig gødningsflue (Scathophaga stercoraria)
Alm. græssvirreflue (Melanostoma mellinum)
Almindelig guldklæg (Chrysops relictus)
Almindelig havesvirreflue (Syrphus ribesii)
Almindelig klyngeflue (Pollenia rudis)
Almindelig kuglebærerflue (Sphaerophoria scripta)
Almindelig marksvirreflue (Eupeodes corollae)
Almindelig regnklæg (Haematopota pluvialis)
Almindelig sneppeflue (Rhagio scolopaceus)
Almindelig sumpsvirreflue (Helophilus pendulus)
Aphanotrigonum sp. (Aphanotrigonum sp.)
Asters-urtesvirreflue (Cheilosia vernalis)
Berberisflue (Rhagoletis meigenii)
Bibio lanigerus (Bibio lanigerus)
Bibio varipes (Bibio varipes)
Bjørnesnylteflue (Tachina ursina)
Bleg pragtvåbenflue (Stratiomys singularior)
Brandbæger-urtesvirreflue (Cheilosia bergenstammi)
Bredbåndet marksvirreflue (Eupeodes latifasciatus)
Bredbåndet skovsvirreflue (Dasysyrphus tricinctus)
Bredkindet urtesvirreflue (Cheilosia latifrons)
Bredplettet marksvirreflue (Eupeodes bucculatus)
Cistogaster globosa
Clusiodes sp.
Conops vesicularis
Copromyza nigrina
Cordilura albipes
Coremacera marginata )
Cylindromyia sp.
Dansemyg ubest. (Chironomidae indet.)
Dobbeltbåndet svirreflue (Episyrphus balteatus)
Dødningehoved-svirreflue (Myathropa florea)
Dødsflue (Cynomya mortuorum)
Dolichopus sp.
Dolichopus ungulatus
Droneflue (Eristalis tenax)
Drymeia hamata
Dryomyza anilis
Empis stercorea
Fannia lustrator
Foranderlig humlesvirreflue (Volucella bombylans)
Geomyza tripunctata
Gødnings-dyndflue (Eristalinus sepulchralis)
Gonia sp.
Græshårmyg (Dilophus febrilis)
Graphomya maculata (
Grøn snylteflue (Gymnocheta viridis)
Grøn våbenflue (Chloromyia formosa)
Gul vedrovflue (Laphria flava)
Gulfodet dyndflue (Eristalis pertinax)
Gulhannet svirreflue (Xanthandrus comtus)
Gulplettet agersvirreflue (Scaeva selenitica)
Gulvinget flue (Mesembrina meridiana)
Gymnosoma sp. (Gymnosoma sp.)
Haematopota italica
Halvmåne-busksvirreflue (Parasyrphus punctulatus)
Håretdyndflue (Eristalis intricaria)
Håret engsvirreflue (Melanogaster hirtella)
Have-dyndflue (Eristalis horticola)
Havesvirreflue sp. (Syrphus sp.)
Hercostomus nigripennis
Hesteklæg (Tabanus sudeticus)
Hjortelus (Lipoptena cervi)
Huebneria affinis
Hvid skægrovflue (Dysmachus trigonus)
Hvidhåret urtesvirreflue (Cheilosia albipila)
Hvidplettet agersvirreflue (Scaeva pyrastri)
Hybenflue (Rhagoletis alternata)
Hybomitra bimaculata
Hybomitra distinguenda
Hybomitra expollicata
Hybomitra montana
Hybomitra sp.
Hybos culiciformis
Hybrid-sumpsvirreflue (Helophilus hybridus)
Ilione albiseta
Imantimyia albiseta
Kabbeleje-urtesvirreflue (Cheilosia fraterna)
Kæmpefluen Harald (Tachina grossa)
Kålstankelben (Tipula oleracea)
Køl-svirreflue (Tropidia scita)
Kompost-svirreflue (Syritta pipiens)
Kørvel-urtesvirreflue (Cheilosia pagana)
Kuglebærerflue sp. (Sphaerophoria sp.)
Klit-maskesvirreflue (Paragus tibialis)
Lang græsrovflue (Leptogaster cylindrica)
Lang græssvirreflue (Melanostoma scalare)
Lang urtesvirreflue (Cheilosia longula)
Lauxania cylindricornis
Lille dyndflue (Eristalis abusiva)
Lille havesvirreflue (Syrphus vitripennis)
Lille humleflue (Bombylius minor)
Limonia nubeculosa
Lys buesvirreflue (Didea fasciata)
Macrocera sp.
Mark-dyndflue (Eristalis interrupta)
Mark-snabelsvirreflue (Rhingia campestris)
Meromyza sp.
Metopia campestris
Microchrysa polita
Miltogramma germari
Minettia lupulina
Mørk buesvirreflue (Didea intermedia)
Mosestankelben (Tipula paludosa)
Nephrotoma analis
Nephrotoma flavipalpis
Nephrotoma scurra
Neria cibaria
Nigrotipula nigra
Nordlignarksvirreflue (Eupeodes lundbecki)
Nordlig sumpsvirreflue (Helophilus affinis)
Oplodontha viridula
Phalacrocera replicata
Phaonia pallida
Phaonia valida
Phytomyza chaerophylli
Platycephala planifrons
Platycheirus splendidus)
Plettet græsrovflue (Leptogaster guttiventris)
Plettet kuglebærerflue (Sphaerophoria interrupta)
Poecilobothrus nobilitatus
Polietes lardarius
Pollenia sp.
Rhagio lineola
Rhamphomyia crassirostris
Rivellia syngenesiae
Rød snylteflue (Eriothrix rufomaculatus)
Rødbenet kærflue (Sepedon sphegea)
Rødgul bredfodsflue Platycheirus fulviventris)
Sargus flavipes
Scathophaga inquinata
Scenopinus fenestralis
Sciomyza simplex
Seioptera vibrans
Sepsis sp.
Sicus ferrugineus
Skærm-svirreflue (Melangyna umbellatarum)
Skjold-bredfodsflue (Platycheirus clypeatus)
Skov-bredfodsflue (Platycheirus scutatus)
Skovhårmyg (Bibio marci)
Smal bredfodsflue (Platycheirus angustatus)
Smuk skovsvirreflue (Dasysyrphus venustus)
Sort hårrovflue (Tolmerus atricapillus)
Sortblå bredfodsflue (Platycheirus albimanus)
Sortfodet busksvirreflue (Parasyrphus nigritarsis)
Sortfodet skovrovflue (Neoitamus cyanurus)
Sorthåret glanssvirreflue (Epistrophe nitidicollis)
Sortkloet urtesvirreflue (Cheilosia psilophthalma)
Spaziphora hydromyzina
Sphenella marginata
Stikmyg ubest. (Culicidae indet.)
Stor bredfodsflue (Platycheirus peltatus)
Stor cigargalle-fritflue (Lipara lucens)
Stor danseflue (Empis tessellata)
Stor havesvirreflue (Syrphus torvus)
Stor humleflue (Bombylius major)
Stor narcisflue (Merodon equestris)
Stribet skovsvirreflue (Dasysyrphus albostriatus)
Suillia laevifrons
Suillia notata
Suillia sp.
Sylvicola sp.
Systoechus ctenopterus
Tabanus bromius
Tanypodinae indet.
Tephritis vespertina
Thereva sp.
Thricops semicinereus
Tidlig urtesvirreflue (Cheilosia urbana)
Tidsel-urtesvirreflue (Cheilosia proxima)
Tipula confusa (Tipula confusa)
Tipula scripta (Tipula scripta)
Tipula sp.
Tjørne-pelssvirreflue (Criorhina berberina)
Tørve-silkesvirreflue (Sericomyia silentis)
Trapez-svirreflue (Meliscaeva auricollis)
Trebåndet sumpsvirreflue (Helophilus trivittatus)
Tricyphona immaculata
Trimicra pilipes
Trypetoptera punctulata
Vandklæg (Heptatoma pellucens)
Villa hottentotta
Korsedderkop m/ bytte
Foto: Jacob Gammelgaard
Alm. baldakinspinder
Foto: Thomas Holm
Agurkehjulspinder
Foto: Thomas Holm
Alm. rovedderkop
Foto: Thomas Holm
Engjæger
Foto: Thomas Holm
Pukkelrygget stavedderkop
Foto: Thomas Holm
Høstmeta
Foto: Thomas Holm
Skovzebraedderkop
Foto: Thomas Holm
Edderkopper (spindlere)
Agurkeedderkop sp. (Araniella sp.)
Agurkehjulspinder (Araniella cucurbitina)
Almindelig Baldakinspinder (Linyphia triangularis)
Almindelig bjørneedderkop (Trochosa terricola)
Almindelig krabbeedderkop (Xysticus cristatus)
Almindelig mosskorpion (Neobisium carcinoides)
Almindelbg pighånd (Cheiracanthium erraticum)
Almindelig piratedderkop (Ero furcata)
Almindelig piratjagtedderkop (Pirata piraticus)
Almindelig rovedderkop (Pisaura mirabilis)
Almindelig teltspinder (Phylloneta sisyphia)
Almindelig zebraedderkop (Salticus scenicus)
Alopecosa sp. (Alopecosa sp.)
Amaurobius sp.
Balalajkaedderkop (Episinus angulatus)
Barkjæger (Drapetisca socialis)
Bdellidae ubest.
Blækkugleedderkop (Platnickina tincta)
Blåtoptæppespinder (Floronia bucculenta)
Broget springedderkop (Evarcha falcata)
Centromerita sp.
Ceratinella scabrosa
Cercidia prominens
Cheiracanthium sp.
Clubiona comta
Clubiona sp.
Crustulina guttata
Drassodes cupreus
Drassodes sp.
Dværgspringer (Neon reticulatus)
Engjæger (Pardosa amentata)
Engstavedderkop (Tetragnatha extensa)
Erigone sp.
Fedtedderkop (Steatoda bipunctata)
Flad hjulspinder (Nuctenea umbratica)
Forårsmejer (Rilaena triangularis)
Forårsmeta (Metellina mengei)
Gaffelmejer (Dicranopalpus ramosus)
Glinsende baldakinspinder (Microlinyphia pusilla)
Gonatium rubens
Gorillaspringer (Evarcha arcuata)
Grå sektoredderkop (Zygiella x-notata)
Grøn pighånd (Cheiracanthium virescens)
Guldspringer (Sibianor larae)
Haplodrassus sp.
Hedejæger (Pardosa nigriceps)
Hedemejer (Paroligolophus agrestis)
Hedeninja (Zelotes longipes)
Heliophanus flavipes
Høstmeta (Metellina segmentata)
Huskartespinder (Amaurobius similis)
Hvepseedderkop (Argiope bruennichi)
Hvidøjet langbensmejer (Leiobunum blackwalli)
Kæmpemejer (Odiellus spinosus)
Katteedderkop (Zora spinimana)
Kilekæmpejæger (Alopecosa pulverulenta)
Klitgraveedderkop (Arctosa perita)
Klithjulspinder (Neoscona adianta)
Klitkæmpejæger (Alopecosa barbipes)
Klitspringedderkop (Marpissa nivoyi)
Korsedderkop (Araneus diadematus)
Kratbaldakinspinder (Neriene clathrata)
Kvadratedderkop (Araneus quadratus)
Labyrintedderkop (Agelena labyrinthica)
Larinioides patagiatus
Lille murmejer (Oligolophus hanseni)
Lodden hjulspinder (Agalenatea redii)
Metellina sp.
Micaria pulicaria
Myrespringedderkop (Synageles venator)
Orange vægmejer (Opilio canestrinii)
Overdrevsjæger (Pardosa monticola)
Ozyptila atomaria (Ozyptila atomaria)
Pardosa prativaga (Pardosa prativaga)
Pardosa pullata (Pardosa pullata)
Pardosa sp.
Perleedderkop sp. (Enoplognatha ovata / latimana )
Philodromus cespitum (Philodromus cespitum)
Philodromus sp.
Phlegra fasciata
Phylloneta sp.
Piratedderkop sp. (Ero sp.)
Pukkelhovedet dværgedderkop (Hypomma bituberculatum)
Pukkelrygget stavedderkop (Tetragnatha obtusa)
Rød langbensmejer (Leiobunum rotundum)
Rød Ninja (Zelotes electus)
Rørstavedderkop (Tetragnatha striata)
Sektoredderkop (Zygiella atrica)
Sivhjulspinder (Larinioides cornutus)
Skovstavedderkop (Tetragnatha montana)
Skovzebraedderkop (Salticus cingulatus)
Smuk voksedderkop (Asagena phalerata)
Sortstribet hedehjulspinder (Mangora acalypha)
Søtykkæbe (Pachygnatha clercki)
Stor piratjagtedderkop (Pirata piscatorius)
Stor Skovmejer (Mitopus morio)
Stribet baldakinspinder (Stemonyphantes lineatus)
Textrix denticulata (Textrix denticulata)
Thanatus striatus (Thanatus striatus)
Tibellus maritimus (Tibellus maritimus)
Treplettet springedderkop (Pellenes tripunctatus)
Trochosa sp.
Vandedderkop (Argyroneta aquatica)
Vinkebenspringer (Euophrys frontalis)
Walckenaeria nudipalpis (Walckenaeria nudipalpis)
Xysticus audax (Xysticus audax)
Xysticus erraticus (Xysticus erraticus)
Xysticus kochi (Xysticus kochi)
Zelotes sp. (Zelotes sp.)
Østlig dødningehovedmejer (Nemastoma lugubre)
Æggebæreren (Neottiura bimaculata)
Biulv
Foto: Thomas Holm
Grøn bladhveps
Foto: Thomas Holm
Pottemagerhveps
Foto: Thomas Holm
Rød gedehams
Foto: Thomas Holm
Rød hussabelhveps
Foto: Thomas Holm
Vedguldhveps
Foto: Thomas Holm
Pragtbuksebi
Foto: Thomas Holm
Seglhveps
Foto: Thomas Holm
Bier, hvepse, gedehamse
Orden årevinger
Abia fasciata (Abia fasciata)
Agerhumle (Bombus pascuorum)
Agersnyltehumle (Bombus campestris)
Almindelig gedehams (Vespula vulgaris)
Almindelig sandhveps (Ammophila sabulosa)
Alm. svirrefluesnyltehveps (Diplazon laetatorius)
Almindelig vejhvepa (Anoplius viaticus)
Amblyjoppa proteus
Ancistrocerus parietinus
Banchinae ubest.
Biulv (Philanthus triangulum)
Bredrandet jordbi (Andrena synadelpha)
Calameuta filiformis
Callajoppa cirrogaster
Campopleginae ubest.
Chrysis sp.
Citronsnyltehveps
Crossocerus quadrimaculatus
Cryptinae ubest.
Det Sorte Bælte
Diplolepis nervosa
Dolerus picipes
Dolerus sp.
Ectemnius continuus
Efterårsgravehveps (Mellinus arvensis)
Engmaskebi (Hylaeus confusus)
Eumenes sp.
Forårsjordbi (Andrena praecox)
Græslandsmalbi (Lasioglossum albipes)
Grøn bladhveps (Rhogogaster scalaris)
Gulsporet gnavebi (Hoplitis claviventris)
Harpikshveps sp. (Passaloecus sp.)
Havehumle (Bombus hortorum)
Havekeglebi (Coelioxys inermis)
Hedefiltbi (Epeolus cruciger)
Hedehumle (Bombus jonellus)
Hedekeglebi (Coelioxys conica)
Hedemaskebi (Hylaeus gibbus)
Hedesmalbi (Lasioglossum villosulum)
Honningbi (Apis mellifera)
Hushumle (Bombus hypnorum)
Hvidbenet oliebi (Macropis europaea)
Hvidplettet Tambourmajor (Sapyga quinquepunctata)
Ichneumon primatorius
Ichneumon sp.
Ichneumoninae ubest.
Klitbladskærerbi (Megachile leachella)
Klitkeglebi (Coelioxys mandibularis)
Kort hussabelhveps (Stenarella domator)
Kratguldhveps (Cleptes semiauratus)
Kravejordhumle (Bombus magnus)
Kurvmurerbi (Osmia leaiana)
Lille maskebi (Hylaeus brevicornis)
Lille pilejordbi (Andrena ruficrus)
Lille strithårsbi (Panurgus calcaratus)
Lyngsilkebi (Colletes succinctus)
Lys jordhumle (Bombus lucorum)
Lys jordsnyltehumle (Bombus bohemicus)
Mat smalbi (Lasioglossum leucozonium)
Metalsmalbi (Lasioglossum morio)
Monostegia abdominalis (Monostegia abdominalis)
Mørk forårsseglhveps (Ophion scutellaris)
Mørk jordhumle (Bombus terrestris)
Mørk jordsnyltehumle (Bombus vestalis)
Moshumle (Bombus muscorum)
Overdrevblodbi (Sphecodes ephippius)
Pemphredon lugubris
Perlemaskebi (Hylaeus dilatatus)
Pilejordhumle (Bombus cryptarum)
Pottemagerhveps (Eumenes pedunculatus)
Pragtbuksebi (Dasypoda hirtipes)
Priocnemis sp.
Punkteret smalbi (Lasioglossum punctatissimum)
Rød gedehams (Vespula rufa)
Rød hussabelhveps (Perithous scurra)
Rødbrystet jordbi (Andrena clarkella)
Rødhalet jordbi (Andrena haemorrhoa)
Rødpelset jordbi (Andrena fulva)
Rosenbladskærerbi (Megachile centuncularis)
Seglhveps sp. (Ophion sp.)
Skovgedehams (Dolichovespula sylvestris)
Skovsnyltehumle (Bombus sylvestris)
Stenhumle (Bombus lapidarius)
Stensnyltehumle (Bombus rupestris)
Stor gedehams (Vespa crabro)
Stor saksebi (Chelostoma rapunculi)
Stor sandhveps (Podalonia hirsuta)
Stor uldbi (Anthidium manicatum)
Symmorphus bifasciatus
Taggedehams (Dolichovespula saxonica)
Tagrørmaskebi (Hylaeus pectoralis)
Tandet jordbi (Andrena denticulata)
Tenthredo vespa
Træboende bladskærerbi (Megachile willughbiella)
Tromatobia sp.
Tysk gedehams (Vespula germanica)
Vægsilkebi (Colletes daviesanus)
Vedguldhveps (Trichrysis cyanea)
Ærtebladskærerbi (Megachile circumcincta)
Ærtejordbi (Andrena wilkella)
Brun sumpcikade
Foto: Thomas Holm
Dværgrygsvømer
Foto: Thomas Holm
Græssporecikade
Foto: Thomas Holm
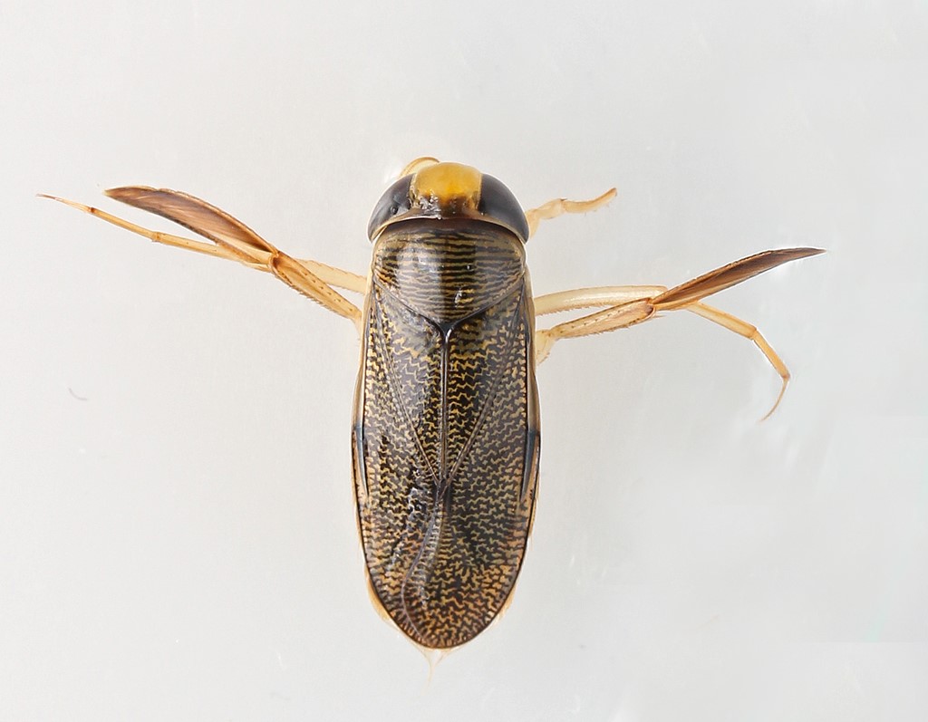
Grøn sumpciakde
Foto: Thomas Holm
Lyngcikade
Foto: Thomas Holm
Strandbugsvømmer
Foto Thomas Holm
Tiplettet småcikade
Foto: Thomas Holm
Cikader, m.fl.
Orden næbmunde
Almindelig rygsvømmer (Notonecta glauca)
Almindelig skøjteløber (Gerris lacustris)
Anaceratagallia venosa/ribauti
Anoscopus sp.
Aphrodes sp.
Baeopelma foersteri
Batracomorphus allionii
Bjørnegræscikade (Hyledelphax elegantula)
Blodcikade (Cercopis vulnerata)
Brakvandsbugsvømmer (Sigara stagnalis)
Brakvandsrygsvømmer (Notonecta viridis)
Brun bugsvømmer (Hesperocorixa castanea)
Brun sumpcikade (Macustus grisescens)
Buskcikade ubest. (Cixiidae indet.)
Cacopsylla parvipennis
Chloriona sp.
Dambugsvømmer (Hesperocorixa linnaei)
Delphacodes venosus
Dikraneura variata
Diplocolenus bohemani
Dværgrygsvømmer (Plea minutissima)
Edwardsiana sp.
Fireplettet cikade (Cicadula quadrinotata)
Forcipata sp.
Fyrregrenbladlus (Cinara pinea)
Græsplænecikade (Javesella pellucida)
Græssporecikade (Dicranotropis hamata)
Grøn sumpcikade (Cicadella viridis)
Gulbrystet skøjteløber (Gerris thoracicus)
Gyvelbladloppe (Arytaina genistae)
Harrilgræscikade (Arthaldeus pascuellus)
Hedecikade (Megophthalmus scanicus)
Hesperocorixa sahlbergi
Hesperocorixa sp.
Jassargus sp.
Kelisia sabulicola
Kløverjordcikade (Aphrodes makarovi)
Krybpilcikade (Macropsis impura)
Kybos butleri
Kybos sp.
Lille bugsvømmer (Sigara lateralis)
Lille skøjteløber (Gerris argentatus)
Lille tornben (Legnotus picipes)
Linnavuoriana sexmaculata
Loricula exilis
Lyngcikade (Ulopa reticulata)
Macropsis prasina
Macrosteles sp.
Marskcikade (Limotettix striola)
Mocydiopsis attenuata
Mosemikrocikade (Notus flavipennis)
Notonecta obliqua
Orangestribet Cikade
Ørepilcikade (Idiocerus lituratus)
Paracorixa concinna
Paradelphacodes paludosus
Pilecikade (Populicerus confusus)
Pilegrenbladlus (Tuberolachnus salignus)
Pileskumcikade (Aphrophora salicina)
Planaphrodes sp. (Planaphrodes sp.)
Planaphrodes trifasciata
Psammotettix sp.
Sandstarbladlus (Iziphya bufo)
Sandstarbladlus (Iziphya bufo)
Sigara limitata
Sigara nigrolineata
Sigara scotti
Sigara sp.
Sivbladloppe (Livia juncorum)
Sølvgrå cikade (Athysanus argentarius)
Sortbenet bugsvømmer (Callicorixa praeusta)
Søskøjteløber (Aquarius paludum)
Stenocranus sp.
Stor bugsvømmer (Corixa punctata)
Stor granstammelus (Cinara piceae)
Stor skumcikade (Aphrophora alni)
Strandbugsvømmer (Corixa panzeri)
Stribet skumcikade (Neophilaenus lineatus)
Stroggylocephalus agrestis
Tachycixius pilosus
Tachycixius pilosus
Tandet skøjteløber (Gerris odontogaster)
Tiplettet småcikade (Balclutha punctata)
Tørbundsmikrocikade (Eupteryx notata)
Tremulicerus distinguendus
Tværstribet buskcikade (Cixius nervosus)
Tværstribet buskcikade (Cixius nervosus)
Vandrøver (Ilyocoris cimicoides)
Zebracikade (Planaphrodes bifasciata)
Zygina sp.
Dagsommerfugle
Admiral (Vanessa atalanta))
Almindelig blåfugl (Polyommatus icarus)
Aurora (Anthocharis cardamines)
Blåhale (Favonius quercus)
Bredpandefamilien ubest. (Hesperiidae indet.)
Brunlig perlemorsommerfugl (Boloria selene)
Citronsommerfugl (Gonepteryx rhamni)
Dagpåfugleøje (Aglais io)
Det hvide W (Satyrium w-album)
Dukatsommerfugl (Lycaena virgaureae)
Engrandøje (Aphantopus hyperantus)
Foranderlig blåfugl (Plebejus idas)
Græsrandøje (Maniola jurtina)
Grøn busksommerfugl (Callophrys rubi)
Grønåret kålsommerfugl (Pieris napi)
Isblåfugl (Polyommatus amandus)
Klitperlemorsommerfugl (Fabriciana niobe)
Lille ildfugl (Lycaena phlaeas)
Lille kålsommerfugl (Pieris rapae)
Markperlemorsommerfugl (Speyeria aglaja)
Nældens takvinge (Aglais urticae)
Okkergul pletvinge (Melitaea cinxia)
Okkergul randøje (Coenonympha pamphilus)
Sandrandøje (Hipparchia semele)
Skovblåfugl (Celastrina argiolus)
Skråstregbredpande (Thymelicus sylvestris)
Stor bredpande (Ochlodes sylvanus)
Stor kålsommerfugl (Pieris brassicae)
Storplettet perlemorsommerfugl (Issoria lathonia)
Stregbredpande (Thymelicus lineola)
Tidselsommerfugl (Vanessa cardui)
Engstikmyre
Foto: Thomas Holm
Alm. guldøje
Foto: Thomas Holm
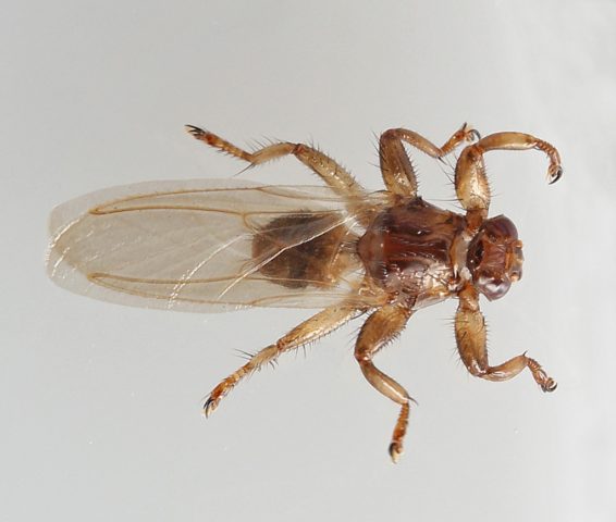
Sødøgnflue
Foto: Thomas Holm
Skovkakkerlak
Foto: Thomas Holm
-o0o-
Myrer, vårfluer, m.fl.
Agrypnia pagetana
Allacma fusca
Almindelig dovenflue (Sialis lutaria)
Almindelig guldøje (Chrysoperla carnea)
Almindelig sølvkræ (Lepisma saccharina)
Almindelig stikmyre (Myrmica ruginodis)
Anabolia nervosa
Blank hedemyre (Formica pressilabris)
Blodrød rovmyre (Formica sanguinea)
Chrysopa perla
Dovenflue sp. (Sialis sp.)
Ectobius sp.
Engstikmyre (Myrmica scabrinodis)
Fiskedøgnflue sp. (Baetis sp.)
Formica exsecta sp.
Formica sp. (Formica sp.)
Græstørvmyre (Tetramorium caespitum)
Gul Engmyre (Lasius flavus)
Halesus radiatus
Hedestikmyre (Myrmica sabuleti)
Hemerobius nitidulus
Korttornet Stikmyre (Myrmica rubra)
Lille Skovmyre (Formica polyctena)
Limnephilus affinis
Limnephilus auricula
Limnephilus flavicornis
Limnephilus griseus
Limnephilus lunatus
Limnephilus luridus
Limnephilus marmoratus
Limnephilus nigriceps
Limnephilus rhombicus
Limnephilus sp.
Limnephilus sparsus
Limnephilus vittatus
Loensia fasciata
Lype phaeopa
Micromus variegatus
Molanna angustata
Mørk Stikmyre (Myrmica lobicornis)
Oecetis ochracea
Phryganea bipunctata )
Rød Skovmyre (Formica rufa)
Sandkakerlak (Capraiellus panzeri)
Skægget Sølvkræ (Ctenolepisma longicaudata)
Skovkakerlak (Ectobius lapponicus)
Sødøgnflue sp. (Cloeon sp.)
Sort slavemyre (Formica fusca)
Stikmyre sp. (Myrmica sp.)
Stor bæltespringhale (Orchesella cincta)
Stor spiralvårflue (Phryganea grandis)
Vårflue ubest. (Trichoptera indet.)
Wesmaelius sp.











































































































